貸倉庫 新座市 東武東上線志木駅 の貸倉庫 (募集は終了しました。)
| 物件No. | RBS31625 | 
|---|---|
| 最寄駅 所在地  | 
          
            東武東上線「志木駅」 埼玉県新座市  | 
        
| 賃料 | 1,760,000円 礼 1ヶ月 / 敷 4ヶ月 | 
新座市-貸倉庫・貸し倉庫・賃貸倉庫
- Point 1鉄骨造2階建て
 - Point 2新座市|駐車場あり(無料)
 - Point 3第一種住居地域
 
| 物件No. | RBS31625 | ||
|---|---|---|---|
| 所在地 | 埼玉県新座市 | ||
| 交通 ※駅までの直線距離で自動表示 実際の交通とは異なります。  | 
			JR武蔵野線 「北朝霞駅」 東武東上線 「朝霞台駅」 東武東上線 「志木駅」 東武東上線 「柳瀬川駅」  | ||
| 賃料(月額) | 1,760,000円 | 管理費(月額) | なし | 
| 敷金/保証金 | 敷 4ヶ月 | 礼金 | 1ヶ月 | 
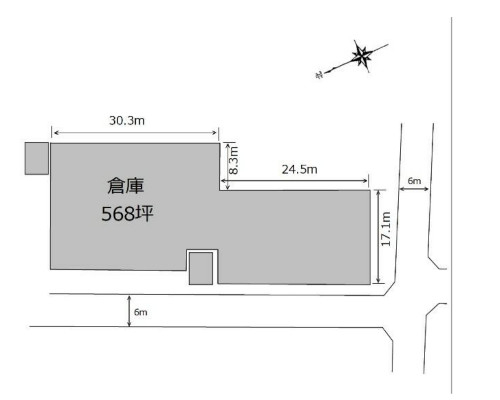
| 建物面積 | 約568坪 | ||
| 土地面積 | 約482坪 | ||
| 構造・規模 | 鉄骨造2階建て | ||
| 築年月 | 1983年5月 | ||
| 接道状況 | 道路幅員約6m公道 | ||
| 設備 | トイレ 動力 エアコン | ||
| 備考 | 消費税10%込表示。 ■■■ 個別提案によるマッチングサポート ■■■ 入手する物件情報は、オーナー様より直接、不動産業者、士業者、デベロッパーなどこれまでの取引を通じたネットワークによるものです。 ホームページに公開していない物件も多数ございます。 掲載をご希望されていない物件や、経済条件が決定していない物件などは公開されません。 公開できない物件情報については、いただいているお客様のご要望の中からマッチングして個別に提案させて頂いております。 ホームページに公開されている物件は、取扱物件全体のわずか一部です。 ホームページにマッチする物件がない場合でも、お気軽にご要望をお知らせください。 事業用不動産の賃貸・売買を取り巻く環境は絶えず変化しています。 最近の大きな変化では、2020年4月1日施行の民法改正があります。 また、お客様のコンプライアンスに関する基本方針も日々変化しています。 こうした環境変化・多様化するニーズに対応しながら、お客様のご要望に対し、全力でサポートいたします。  | 
||
| 取引態様 | 媒介 | ||
| 
  こちらの物件は、募集終了しました。 他の物件検索はこちら  | 
|||
お問い合わせ可能な新座市周辺の貸工場・貸倉庫物件
座標の取得が出来ない場合など大きくずれを生じる場合があります。
          貸倉庫
          
        
                        ![浜崎 東武東上線[朝霞駅]の貸倉庫物件の詳細はこちら](https://www.tatsuwa.com/bukken_imgs/thumb/RBS34384-img1_sch.jpg)
                    朝霞市浜崎
            [朝霞駅]
            
331.00㎡ (100.12坪)
                    
550,000円
          貸倉庫
          
        
                        ![野火止 JR武蔵野線[新座駅]の貸倉庫物件の詳細はこちら](https://www.tatsuwa.com/bukken_imgs/thumb/RBS23951-img1_sch.jpg)
                    新座市野火止
            [新座駅]
            
846.27㎡ (256.00坪)
                    
1,351,680円
          貸倉庫
          
        
                        ![野火止 JR武蔵野線[新座駅]の貸倉庫物件の詳細はこちら](https://www.tatsuwa.com/bukken_imgs/thumb/RBS14997-img1_sch.jpg)
                    新座市野火止
            [新座駅]
            
1,289.52㎡ (390.07坪)
                    
2,102,100円
          貸倉庫
          
        
                        ![野火止 JR武蔵野線[新座駅]の貸倉庫物件の詳細はこちら](https://www.tatsuwa.com/bukken_imgs/thumb/RBS31742-img1_sch.jpg)
                    新座市野火止
            [新座駅]
            
2,859.66㎡ (865.05坪)
                    
4,662,700円
          貸倉庫
          
        
                        ![野火止 JR武蔵野線[新座駅]の貸倉庫物件の詳細はこちら](https://www.tatsuwa.com/bukken_imgs/thumb/RBS34341-img1_sch.jpg)
                    新座市野火止
            [新座駅]
            
2,812.38㎡ (850.74坪)
                    
4,565,000円
          貸倉庫
          
        
                        ![野火止 JR武蔵野線[新座駅]の貸倉庫物件の詳細はこちら](https://www.tatsuwa.com/bukken_imgs/thumb/RBS29936-img1_sch.jpg)
                    新座市野火止
            [新座駅]
            
1,449.49㎡ (438.47坪)
                    
1,980,000円
          貸倉庫
          
        
                        ![東みずほ台 東武東上線[みずほ台駅]の貸倉庫物件の詳細はこちら](https://www.tatsuwa.com/bukken_imgs/thumb/RBS24750-img1_sch.jpg)
                    富士見市東みずほ台
            [みずほ台駅]
            
509.73㎡ (154.19坪)
                    
748,000円
          貸倉庫
          
        
                        ![菅沢 JR武蔵野線[新座駅]の貸倉庫物件の詳細はこちら](https://www.tatsuwa.com/bukken_imgs/thumb/RBS33112-img1_sch.jpg)
                    新座市菅沢
            [新座駅]
            
352.80㎡ (106.72坪)
                    
495,000円
          貸倉庫
          
        
                        ![坂之下 JR武蔵野線[新座駅]の貸倉庫物件の詳細はこちら](https://www.tatsuwa.com/bukken_imgs/thumb/RBS20192-img1_sch.jpg)
                    所沢市坂之下
            [新座駅]
            
1,183.17㎡ (357.90坪)
                    
1,375,000円
          貸倉庫
          
        
                        ![上内間木 JR武蔵野線[北朝霞駅]の貸倉庫物件の詳細はこちら](https://www.tatsuwa.com/bukken_imgs/thumb/RBS31885-img1_sch.jpg)
                    朝霞市上内間木
            [北朝霞駅]
            
3,515.00㎡ (1,063.28坪)
                    
5,731,100円
          貸倉庫
          
        
                        ![上内間木 東武東上線[朝霞駅]の貸倉庫物件の詳細はこちら](https://www.tatsuwa.com/bukken_imgs/thumb/RBS34111-img1_sch.jpg)
                    朝霞市上内間木
            [朝霞駅]
            
735.39㎡ (222.45坪)
                    
1,100,000円
          貸工場・貸倉庫
          
        
                        ![上内間木 JR武蔵野線[西浦和駅]の貸工場・貸倉庫物件の詳細はこちら](https://www.tatsuwa.com/bukken_imgs/thumb/RBS33139-img1_sch.jpg)
                    朝霞市上内間木
            [西浦和駅]
            
1,732.00㎡ (523.92坪)
                    
800,000円
          貸工場・貸倉庫
          
        
                        ![栄町 東武東上線[朝霞駅]の貸工場・貸倉庫物件の詳細はこちら](https://www.tatsuwa.com/bukken_imgs/thumb/RBS29026-img1_sch.jpg)
                    朝霞市栄町
            [朝霞駅]
            
1,507.07㎡ (455.89坪)
                    
3,520,000円
          貸倉庫
          
        
                        ![馬場 JR武蔵野線[新座駅]の貸倉庫物件の詳細はこちら](https://www.tatsuwa.com/bukken_imgs/thumb/RBS32824-img1_sch.jpg)
                    新座市馬場
            [新座駅]
            
1,200.57㎡ (363.17坪)
                    
1,650,000円
          貸倉庫
          
        
                        ![北永井 東武東上線[鶴瀬駅]の貸倉庫物件の詳細はこちら](https://www.tatsuwa.com/bukken_imgs/thumb/RBS34138-img1_sch.jpg)
                    入間郡三芳町北永井
            [鶴瀬駅]
            
1,518.00㎡ (459.19坪)
                    
2,530,000円
          貸工場・貸倉庫
          
        
                        ![北永井 東武東上線[ふじみ野駅]の貸工場・貸倉庫物件の詳細はこちら](https://www.tatsuwa.com/bukken_imgs/thumb/RBS34206-img1_sch.jpg)
                    入間郡三芳町北永井
            [ふじみ野駅]
            
611.16㎡ (184.87坪)
                    
330,000円
          貸倉庫
          
        
                        ![1004-1 東武東上線[みずほ台駅]の貸倉庫物件の詳細はこちら](https://www.tatsuwa.com/bukken_imgs/thumb/RBS32947-img1_sch.jpg)
                    入間郡三芳町1004-1
            [みずほ台駅]
            
1,003.99㎡ (303.71坪)
                    
1,269,507円
          貸倉庫
          
        
                        ![北永井 東武東上線[鶴瀬駅]の貸倉庫物件の詳細はこちら](https://www.tatsuwa.com/bukken_imgs/thumb/RBS28196-img1_sch.jpg)
                    入間郡三芳町北永井
            [鶴瀬駅]
            
1,196.69㎡ (362.00坪)
                    
1,650,000円
          貸倉庫
          
        
                        ![南永井 JR武蔵野線[東所沢駅]の貸倉庫物件の詳細はこちら](https://www.tatsuwa.com/bukken_imgs/thumb/RBS31204-img1_sch.jpg)
                    所沢市南永井
            [東所沢駅]
            
2,022.07㎡ (611.68坪)
                    
2,530,000円
          貸倉庫
          
        
                        ![南永井 JR武蔵野線[新座駅]の貸倉庫物件の詳細はこちら](https://www.tatsuwa.com/bukken_imgs/thumb/RBS33807-img1_sch.jpg)
                    所沢市南永井
            [新座駅]
            
163.07㎡ (49.33坪)
                    
275,000円
          貸倉庫
          
        
                        ![南永井 JR武蔵野線[東所沢駅]の貸倉庫物件の詳細はこちら](https://www.tatsuwa.com/bukken_imgs/thumb/RBS34031-img1_sch.jpg)
                    所沢市南永井
            [東所沢駅]
            
495.86㎡ (150.00坪)
                    
770,000円
          貸倉庫
          
        
                        ![南永井 JR武蔵野線[東所沢駅]の貸倉庫物件の詳細はこちら](https://www.tatsuwa.com/bukken_imgs/thumb/RBS33852-img1_sch.jpg)
                    所沢市南永井
            [東所沢駅]
            
107.50㎡ (32.52坪)
                    
220,000円
          貸倉庫
          
        
                        ![南畑新田 東武東上線[みずほ台駅]の貸倉庫物件の詳細はこちら](https://www.tatsuwa.com/bukken_imgs/thumb/RBS33657-img1_sch.jpg)
                    富士見市南畑新田
            [みずほ台駅]
            
165.00㎡ (49.91坪)
                    
415,800円
          貸倉庫
          
        
                        ![亀ケ谷 JR武蔵野線[東所沢駅]の貸倉庫物件の詳細はこちら](https://www.tatsuwa.com/bukken_imgs/thumb/RBS33572-img1_sch.jpg)
                    所沢市亀ケ谷
            [東所沢駅]
            
1,295.20㎡ (391.79坪)
                    
1,525,920円
          貸倉庫
          
        
                        ![亀ヶ谷 JR武蔵野線[東所沢駅]の貸倉庫物件の詳細はこちら](https://www.tatsuwa.com/bukken_imgs/thumb/RBS31273-img1_sch.jpg)
                    所沢市亀ヶ谷
            [東所沢駅]
            
224.00㎡ (67.75坪)
                    
242,000円
          貸倉庫
          
        
                        ![東所沢 JR武蔵野線[東所沢駅]の貸倉庫物件の詳細はこちら](https://www.tatsuwa.com/bukken_imgs/thumb/RBS32989-img1_sch.jpg)
                    所沢市東所沢
            [東所沢駅]
            
429.75㎡ (130.00坪)
                    
660,000円
          貸倉庫
          
        
                        ![田島 JR武蔵野線[西浦和駅]の貸倉庫物件の詳細はこちら](https://www.tatsuwa.com/bukken_imgs/thumb/RBS33709-img1_sch.jpg)
                    さいたま市桜区田島
            [西浦和駅]
            
489.25㎡ (148.00坪)
                    
825,000円
          貸倉庫
          
        
                        ![曲本 JR武蔵野線[西浦和駅]の貸倉庫物件の詳細はこちら](https://www.tatsuwa.com/bukken_imgs/thumb/RBS20844-img1_sch.jpg)
                    さいたま市南区曲本
            [西浦和駅]
            
198.74㎡ (60.11坪)
                    
429,000円
          貸倉庫
          
        
                        ![曲本 JR武蔵野線[西浦和駅]の貸倉庫物件の詳細はこちら](https://www.tatsuwa.com/bukken_imgs/thumb/RBS32244-img1_sch.jpg)
                    さいたま市南区曲本
            [西浦和駅]
            
2,327.30㎡ (704.00坪)
                    
相談
          貸倉庫
          
        
                        ![大久保領家 JR埼京線[南与野駅]の貸倉庫物件の詳細はこちら](https://www.tatsuwa.com/bukken_imgs/thumb/RBS24416-img1_sch.jpg)
                    さいたま市桜区大久保領家
            [南与野駅]
            
225.24㎡ (68.13坪)
                    
440,000円
          貸工場・貸倉庫
          
        
                        ![美女木 JR埼京線[北戸田駅]の貸工場・貸倉庫物件の詳細はこちら](https://www.tatsuwa.com/bukken_imgs/thumb/RBS32910-img1_sch.jpg)
                    戸田市美女木
            [北戸田駅]
            
784.98㎡ (237.45坪)
                    
1,480,000円
          貸工場・貸倉庫
          
        
                        ![美女木 JR武蔵野線[武蔵浦和駅]の貸工場・貸倉庫物件の詳細はこちら](https://www.tatsuwa.com/bukken_imgs/thumb/RBS34395-img1_sch.jpg)
                    戸田市美女木
            [武蔵浦和駅]
            
168.60㎡ (51.00坪)
                    
448,800円
          貸工場・貸倉庫
          
        
                        ![美女木 JR埼京線[北戸田駅]の貸工場・貸倉庫物件の詳細はこちら](https://www.tatsuwa.com/bukken_imgs/thumb/RBS34313-img1_sch.jpg)
                    戸田市美女木
            [北戸田駅]
            
682.80㎡ (206.55坪)
                    
1,704,038円
          貸工場・貸倉庫
          
        
                        ![美女木東 JR埼京線[北戸田駅]の貸工場・貸倉庫物件の詳細はこちら](https://www.tatsuwa.com/bukken_imgs/thumb/RBS32315-img1_sch.jpg)
                    戸田市美女木東
            [北戸田駅]
            
885.65㎡ (267.90坪)
                    
1,780,000円
          貸工場・貸倉庫
          
        
                        ![笹目 都営三田線[西高島平駅]の貸工場・貸倉庫物件の詳細はこちら](https://www.tatsuwa.com/bukken_imgs/thumb/RBS28542-img1_sch.jpg)
                    戸田市笹目
            [西高島平駅]
            
3,757.21㎡ (1,136.56坪)
                    
相談
          貸工場・貸倉庫
          
        
                        ![笹目 JR埼京線[北戸田駅]の貸工場・貸倉庫物件の詳細はこちら](https://www.tatsuwa.com/bukken_imgs/thumb/RBS23970-img1_sch.jpg)
                    戸田市笹目
            [北戸田駅]
            
301.14㎡ (91.09坪)
                    
660,000円
          貸倉庫
          
        
                        ![笹目 JR埼京線[戸田公園駅]の貸倉庫物件の詳細はこちら](https://www.tatsuwa.com/bukken_imgs/thumb/RBS33247-img1_sch.jpg)
                    戸田市笹目
            [戸田公園駅]
            
895.61㎡ (270.92坪)
                    
3,200,000円
          貸工場・貸倉庫
          
        
                        ![笹目 都営三田線[西高島平駅]の貸工場・貸倉庫物件の詳細はこちら](https://www.tatsuwa.com/bukken_imgs/thumb/RBS33394-img1_sch.jpg)
                    戸田市笹目
            [西高島平駅]
            
195.00㎡ (58.98坪)
                    
600,000円
          貸倉庫
          
        
                        ![二ツ宮 JR東北本線[大宮駅]の貸倉庫物件の詳細はこちら](https://www.tatsuwa.com/bukken_imgs/thumb/RBS32644-img1_sch.jpg)
                    さいたま市西区二ツ宮
            [大宮駅]
            
553.94㎡ (167.56坪)
                    
550,000円
          貸倉庫
          
        
                        ![南大泉 西武池袋線[大泉学園駅]の貸倉庫物件の詳細はこちら](https://www.tatsuwa.com/bukken_imgs/thumb/_sch.jpg)
                    練馬区南大泉
            [大泉学園駅]
            
296.06㎡ (89.55坪)
                    
5,931,200円
ホームページに掲載されている新座市の貸工場・貸倉庫に関するFAQ
- Q1ホームページに掲載されている新座市周辺の貸工場・貸倉庫はあるのか?
 - A1
      こちらの貸工場・貸倉庫(RBS31625)の募集は終了しました。
参考情報としてご利用ください。
立和コーポレーションは首都圏の事業用物件を専門に取り扱う不動産会社です。
ホームページでは多くの貸工場・貸倉庫を公開しておりますが、これは取扱物件全体の一部で、公開されていない非公開物件も多数ございます。
非公開となっている貸工場・貸倉庫については、担当営業スタッフより個別提案とさせていただいております。
お探しのエリアの非公開物件の有無は、担当営業スタッフへお問い合わせください。
ご要望にマッチする物件が無い場合でも、担当営業スタッフによる新着情報からの随時提案や、ホームページには新着物件情報や更新情報を自動配信する物件さがしのサポートツール「新着お知らせメール」もあります。 - Q2新座市で貸工場・貸倉庫を探すためのポイント
 - A2
      1. 新座市周辺の事業用不動産市場の特性を知る
新座市周辺にて貸工場・貸倉庫を探す際は、市場動向や地域特性をしっかり理解することが重要です。
エリアごとの成長性や再開発情報を把握しておくと、将来的な事業展開にも役立ちます。
2. 貸工場・貸倉庫選びにおける重要なポイント
① 立地条件の確認
交通アクセスの良さは、事業の効率化や従業員の通勤利便性に直結します。
新座市周辺の交通アクセスを確認しましょう。
駅や高速道路のインターチェンジに近い物件は、物流効率や事業運営のスムーズさを高めるため、積極的に検討しましょう。
② 用途適合性の確認
物件選定時は、都市計画法で規定されている用途地域を確認することが必須です。
新座市周辺の用途地域を確認しましょう。
インターネットの検索エンジンで調べたい「市区町村名 都市計画図」と検索すればほとんどが閲覧できます。
各用途地域の制限の概略はこちらで確認できます。⇒用途地域による建築物の用途制限の概要資料
特定の業種の場合、物件利用に制限がかかる可能性があるため、事前に行政窓口や専門家に相談することをお勧めします。
③ コストと予算計画
埼玉県の主要エリアでは、人気物件ほど賃料や購入価格が高騰する傾向があります。
初期投資だけでなく、物件維持費、管理費、将来的な改修・設備投資などの費用も含めた総合的な予算計画を立てましょう。
3. 最適な貸工場・貸倉庫を見つけるために
新座市周辺で事業用物件を成功裏に選ぶためには、立地条件・用途規制・総合的なコストバランスを慎重に評価する必要があります。
また、最新情報を常に収集し、賢明な選択を心がけましょう。 - Q3新座市周辺の貸工場・貸倉庫を貸したい!
 - A3
      是非、お気軽にお問い合わせください!
・「簡易査定」「詳細査定」と無料査定を随時実施中です!
貸工場・貸倉庫の豊富な取り扱い経験から適正査定を行ないます。
・「専任媒介」「専属専任媒介」「サブリース」はもちろん!
「一般媒介」からもお受けいたします!
・非公開での賃貸仲介も可能です。
弊社のストロングポイント!貸工場・貸倉庫をおさがしのお客様へ個別提案を行ないます。
『安心と信頼の取引。早く高くを追及しています。』 - Q4賃貸管理もお願いできますか?
 - A4
      はい、承っております。
賃料の入金管理・回収業務、入居者との調整、修繕アドバイス、明渡しの立会い・精算業務など、オーナー様の事業用不動産経営におけるさまざまなご負担やご心配を軽減いたします。
■ キャンペーン概要
弊社媒介(「専任媒介」または「専属専任媒介」に限ります)で賃貸借契約を締結のうえ、
「賃貸管理契約」をご利用いただいたお客様には、管理費3ヵ月分を無料とさせていただきます。
■ リアルタイムで管理状況を報告
募集活動や管理業務の状況などを、できる限りリアルタイムでご報告。
日々の進捗はもちろん、現場や打ち合わせ時なども電話・メール・LINEで随時ご連絡可能です。
まずはお気軽にお問い合わせください! 
新座市の貸倉庫についてのお知らせ・ニュース
事業用不動産「貸工場・貸倉庫」さがしのベストパートナー

日本>関東>貸工場・貸倉庫関連記事
事業の成長に不可欠な、新たな拠点さがし。
しかし、数ある物件の中から自社の事業に最適な一つを見つけ出すのは、決して簡単ではありません。
立和コーポレーションは、複雑な条件や法規制、見えにくい相場観など、専門家でなければ見抜けないポイントを網羅し、お客様のビジネスに最適な物件だけを厳選してご提案することをお約束します。
1. 事業用不動産「専門」チームによる的確な提案
倉庫・工場・店舗・事務所・土地など、事業用不動産は専門知識が不可欠です。当社の専門スタッフが、お客様の事業内容や将来計画を深く理解し、プロの視点から最適な物件をご提案します。
2. 多角的な「総合評価」で、隠れたリスクを回避
道路幅、用途地域、インフラ(電気・ガス・水道)、消防設備、近隣環境…。これらは事業運営に直結する重要な要素です。専門チームが多角的にチェックし、後々のトラブルを防ぐ「本当に適切な物件」だけをご紹介します。
3. 実務目線で選定。本当に「使える」物件だけを厳選
面積や賃料が希望通りでも、許認可が下りない、騒音問題で操業できない、といったケースは少なくありません。私たちは、お客様の事業が「実際にスタートできるか」を最重要視し、実務に即した目線で物件を厳選します。
4. 豊富な実績に基づく「リアルな相場」と「交渉力」
インターネット上の情報だけでは分からない、「実際の成約価格」や「リアルな坪単価」を把握しています。豊富な実績に基づき、賃料や条件面での「交渉の余地」を的確にアドバイスし、お客様の利益を最大化します。
5. 地元密着の強み × 広域ネットワーク
特定のエリアに精通する「地域密着の強み」と、都県境を越えた「広域ネットワーク」を両立。例えば「物流拠点は〇〇エリア」「特定の業種が集積する地域」など、お客様の業種に最適なエリア戦略からご提案します。
最適な物件探しから、条件交渉、ご契約まで、ワンストップでサポートいたします。 
事業用不動産探しに関するあらゆるお悩みは、私たち専門チームにお任せください。 
ご相談は無料です。
お気軽にお問い合わせください。
「使っていない工場・倉庫あるけど、このままでいいのか…」

倉庫を「貸したい方へ」
- 成約済み物件は当サイトに掲載していた物件情報で、成約済みとなった情報を一部抜粋して掲載しています。
 - それぞれの物件情報について、すべての制限・情報が表示されているわけではありません。
 - 参考資料としてご利用下さい。
 


    





