武蔵村山市の貸地物件を検索する
お探しのエリアを選択して「物件を検索する」ボタンを押してください。選択した検索条件でお問い合わせも可能です。
武蔵村山市の貸地物件特集
 「武蔵村山市の貸地を貸したい」とお考えの方へ - 無料査定・管理キャンペーンのお知らせ!-
■ 査定方法は2種類:フレキシブルに対応いたします!
-
簡易査定
現地確認や打ち合わせを行わず、データなどをもとに査定額を算出します。
最短で即日回答が可能です! -
詳細査定
現地確認と打ち合わせを行い、より精度の高い調査をもとに査定額を算出します。
正確な査定をご希望の方におすすめです。
■ 「賃貸管理」キャンペーン実施中!
弊社媒介(「専任媒介」または「専属専任媒介」に限ります)で賃貸借契約を締結のうえ、
「賃貸管理契約」をご利用いただいたお客様には、管理費3ヵ月分を無料とさせていただきます。
□□□ 武蔵村山市の貸地の賃貸管理についてはこちら □□□
■ 『賃貸管理革命』
募集活動や管理業務の状況などを、できる限りリアルタイムでご報告。
日々の進捗はもちろん、現場や打ち合わせ時なども
電話・メール・LINEで随時ご連絡可能です。
まずはお気軽にお問い合わせください!
おすすめの貸地関連ブログ
武蔵村山市の貸地 新着情報
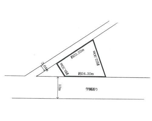
【RLT35070】武蔵村山市の貸地 | 最寄駅は多摩都市モノレール線「上北台駅」です。
武蔵村山市|市街化区域
| 最寄駅 所在地 |
多摩都市モノレール線「上北台駅」徒歩20分 東京都武蔵村山市学園 |
|---|---|
| 賃料 | 900,000円礼 1ヶ月 / 保 3ヶ月 |
| 土地面積 | 920.81㎡ (278.54坪) |
| 種別 | 貸地 |
| おすすめポイント |
|
【RLT32341】武蔵村山市の貸地 | 最寄駅は西武拝島線「西武立川駅」です。
武蔵村山市|第一種低層住居専用地域
| 最寄駅 所在地 |
西武拝島線「西武立川駅」徒歩28分 東京都武蔵村山市伊奈平 |
|---|---|
| 賃料 | 135,000円礼 1ヶ月 / 敷 3ヶ月 |
| 土地面積 | 493.00㎡ (149.13坪) |
| 種別 | 貸地 |
| おすすめポイント |
|
【RLT33388】武蔵村山市の貸地 | 最寄駅はJR青梅線「昭島駅」です。
武蔵村山市|近隣商業地域
| 最寄駅 所在地 |
JR青梅線「昭島駅」バス20分バス停徒歩2分 東京都武蔵村山市伊奈平 |
|---|---|
| 賃料 | 170,000円礼 1ヶ月 / 敷 3ヶ月 |
| 土地面積 | 329.00㎡ (99.52坪) |
| 種別 | 貸地 |
| おすすめポイント |
|
【RLT34743】武蔵村山市の貸地 | 最寄駅は多摩都市モノレール線「上北台駅」です。
武蔵村山市|第一種中高層住居専用地域
| 最寄駅 所在地 |
多摩都市モノレール線「上北台駅」約2km 東京都武蔵村山市学園 |
|---|---|
| 賃料 | 205,000円礼 1ヶ月 / 敷 3ヶ月 |
| 土地面積 | 360.99㎡ (109.20坪) |
| 種別 | 貸地 |
| おすすめポイント |
|
【RLT33809】武蔵村山市の貸地 | 最寄駅は西武拝島線「武蔵砂川駅」です。
武蔵村山市|第一種低層住居専用地域
| 最寄駅 所在地 |
西武拝島線「武蔵砂川駅」約3.3km 東京都武蔵村山市本町 |
|---|---|
| 賃料 | 120,000円礼 1ヶ月 / 敷 2ヶ月 |
| 土地面積 | 312.00㎡ (94.38坪) |
| 種別 | 貸地 |
| おすすめポイント |
|
【RLT34352】武蔵村山市の貸地 | 最寄駅は西武拝島線「玉川上水駅」です。
武蔵村山市|第一種中高層住居専用地域
| 最寄駅 所在地 |
西武拝島線「玉川上水駅」バス20分 東京都武蔵村山市学園 |
|---|---|
| 賃料 | 220,000円礼 1ヶ月 / 敷 3ヶ月 |
| 土地面積 | 116.77㎡ (35.32坪) |
| 種別 | 貸地 |
| おすすめポイント |
|
【RLT32340】武蔵村山市の貸地 | 最寄駅は西武拝島線「西武立川駅」です。
武蔵村山市|第一種低層住居専用地域
| 最寄駅 所在地 |
西武拝島線「西武立川駅」徒歩28分 東京都武蔵村山市伊奈平 |
|---|---|
| 賃料 | 165,000円礼 1ヶ月 / 敷 3ヶ月 |
| 土地面積 | 420.00㎡ (127.05坪) |
| 種別 | 貸地 |
| おすすめポイント |
|
【RLT32095】武蔵村山市の貸地 | 最寄駅は西武拝島線「西武立川駅」です。
武蔵村山市|第一種低層住居専用地域
| 最寄駅 所在地 |
西武拝島線「西武立川駅」徒歩28分 東京都武蔵村山市伊奈平 |
|---|---|
| 賃料 | 330,000円礼 1ヶ月 / 敷 3ヶ月 |
| 土地面積 | 913.50㎡ (276.33坪) |
| 種別 | 貸地 |
| おすすめポイント |
|
【RLT33985】武蔵村山市の貸地 | 最寄駅は多摩都市モノレール線「上北台駅」です。
武蔵村山市|第一種低層住居専用地域
| 最寄駅 所在地 |
多摩都市モノレール線「上北台駅」 東京都武蔵村山市 |
|---|---|
| 賃料 | 100,000円礼 なし / 敷 3ヶ月 |
| 種別 | 貸地 |
| おすすめポイント |
|
【RLT23448】武蔵村山市の貸地 | 最寄駅はJR青梅線「昭島駅」です。
武蔵村山市|工業地域
| 最寄駅 所在地 |
JR青梅線「昭島駅」 東京都武蔵村山市 |
|---|---|
| 賃料 | 220,000円礼 1ヶ月 / 敷 2ヶ月 |
| 種別 | 貸地 |
| おすすめポイント |
|
【RLT32413】武蔵村山市の貸地 | 最寄駅はJR八高線(八王子~高麗川)「箱根ケ崎駅」です。
武蔵村山市|資材置場や車両置場に最適
| 最寄駅 所在地 |
JR八高線(八王子~高麗川)「箱根ケ崎駅」 東京都武蔵村山市 |
|---|---|
| 賃料 | 100,000円礼 1ヶ月 / 敷 3ヶ月 |
| 種別 | 貸地 |
| おすすめポイント |
|
【RLT31801】武蔵村山市の貸地 | 最寄駅は西武拝島線「武蔵砂川駅」です。
武蔵村山市|現況更地
| 最寄駅 所在地 |
西武拝島線「武蔵砂川駅」 東京都武蔵村山市 |
|---|---|
| 賃料 | 135,000円礼 2ヶ月 / 敷 2ヶ月 |
| 種別 | 貸地 |
| おすすめポイント |
|
【RLT31466】武蔵村山市の貸地 | 最寄駅はJR青梅線「昭島駅」です。
武蔵村山市|第二種中高層住居専用地域
| 最寄駅 所在地 |
JR青梅線「昭島駅」 東京都武蔵村山市 |
|---|---|
| 賃料 | 418,000円礼 1ヶ月 / 敷 3ヶ月 |
| 種別 | 貸地 |
| おすすめポイント |
|
【RLT29953】武蔵村山市の貸地 | 最寄駅は西武拝島線「武蔵砂川駅」です。
武蔵村山市|整備予定(砂利)
| 最寄駅 所在地 |
西武拝島線「武蔵砂川駅」 東京都武蔵村山市 |
|---|---|
| 賃料 | 180,000円礼 1ヶ月 / 敷 2ヶ月 |
| 種別 | 貸地 |
| おすすめポイント |
|
【RLT29486】武蔵村山市の貸地 | 最寄駅はJR青梅線「昭島駅」です。
武蔵村山市|第二種中高層住居専用地域
| 最寄駅 所在地 |
JR青梅線「昭島駅」 東京都武蔵村山市 |
|---|---|
| 賃料 | 336,000円礼 1ヶ月 / 敷 3ヶ月 |
| 種別 | 貸地 |
| おすすめポイント |
|
【RLT28924】武蔵村山市の貸地 | 最寄駅はJR中央本線「立川駅」です。
武蔵村山市|出入口付近をアスファルト舗装予定
| 最寄駅 所在地 |
JR中央本線「立川駅」 東京都武蔵村山市 |
|---|---|
| 賃料 | 242,000円礼 1ヶ月 / 敷 1ヶ月 |
| 種別 | 貸地 |
| おすすめポイント |
|
【RLT28356】武蔵村山市の貸地 | 最寄駅はJR青梅線「昭島駅」です。
武蔵村山市|工業地域
| 最寄駅 所在地 |
JR青梅線「昭島駅」 東京都武蔵村山市 |
|---|---|
| 賃料 | 440,000円礼 1ヶ月 / 敷 2ヶ月 |
| 種別 | 貸地 |
| おすすめポイント |
|
物件検索から内覧までの流れ
-

物件を検索する
エリア検索、路線検索、保存リストにて比較・検討ができますのでご利用ください。
-

お問い合わせする
お電話や、物件詳細ページのお問い合わせ、またはまとめてお問い合わせ等、各種フォームでのお問い合わせが可能です。
-

弊社よりご連絡
翌営業日までに担当営業からご連絡差し上げます。
-

ご内覧
担当営業立会いのもと、物件をご案内します。ご不明な点はお気軽にご質問ください。
物件検索
「事業用物件専門だからちがう」、豊富な物件情報。
自社独自システムを利用したホームページで、武蔵村山市の貸地が検索可能です。
正確な物件情報を誠実に、かつスピーディにご提供するよう心がけています。
主な検索機能
- 物件種目毎・エリア毎の絞込み検索
- 物件詳細ページにて周辺物件の表示
- 最近見た物件リストの表示 等
主なお問い合わせ機能
- お問い合わせ
- 物件指定でのお問い合わせ
- 保存リストに複数物件を登録してまとめてお問い合わせ
- 新着お知らせメール
ホームページ登録物件以外にも、多数物件ありますので、お気軽にお問い合わせください。
事業用不動産に詳しい営業担当が、お客様のご要望を的確に把握し、豊富な物件情報の中から業種・用途に応じた最適な物件を提案いたします。
お気軽にお問い合わせください。
ご契約までのサポート
武蔵村山市の貸地に詳しい営業担当が、ご契約までサポートします。
物件の内覧・条件交渉・書類作成等、お客様をフォローします。
ご不明な点やお気づきの点がございましたら、お気軽にお尋ねください。
武蔵村山市周辺の貸地
周辺の物件との距離の計測は、Googleマップを利用し、直線距離となっております。
交通距離とは異なりますのでご注意ください。
座標の取得が出来ない場合など大きくずれを生じる場合があります。
貸地
武蔵村山市中心部から約4.1km
![堀之内 西武池袋線[小手指駅]の貸地物件の詳細はこちら](https://www.tatsuwa.com/bukken_imgs/thumb/RLS31343-img1_sch.jpg)
所沢市堀之内 [小手指駅] 2,755.17㎡ (833.43坪) 圏央道入間インターチェンジ5.2km
850,000円
貸地
武蔵村山市中心部から約4.1km
![箱根ケ崎 JR八高線(八王子~高麗川)[箱根ケ崎駅]の貸地物件の詳細はこちら](https://www.tatsuwa.com/bukken_imgs/thumb/RLT35152-img1_sch.jpg)
西多摩郡瑞穂町箱根ケ崎 [箱根ケ崎駅] 2,613.00㎡ (790.43坪) 道路幅員約5m公道
1,320,000円
貸地
武蔵村山市中心部から約4.4km
![幸町 多摩都市モノレール線[砂川七番駅]の貸地物件の詳細はこちら](https://www.tatsuwa.com/bukken_imgs/thumb/RLT33244-img1_sch.jpg)
立川市幸町 [砂川七番駅] 581.00㎡ (175.75坪) 五日市街道沿い
550,000円
貸地
武蔵村山市中心部から約4.6km
![宮寺 西武池袋線[入間市駅]の貸地物件の詳細はこちら](https://www.tatsuwa.com/bukken_imgs/thumb/RLS32219-img1_sch.jpg)
入間市宮寺 [入間市駅] 1,961.00㎡ (593.20坪) 北側道路幅員約16m公道 南側道路幅員約4m公道
480,000円
貸地
武蔵村山市中心部から約4.7km
![三ケ島 西武池袋線[狭山ヶ丘駅]の貸地物件の詳細はこちら](https://www.tatsuwa.com/bukken_imgs/thumb/RLS33645-img1_sch.jpg)
所沢市三ケ島 [狭山ヶ丘駅] 1,258.00㎡ (380.54坪) 現況更地
347,500円
貸地
武蔵村山市中心部から約4.7km
![宮寺 西武池袋線[入間市駅]の貸地物件の詳細はこちら](https://www.tatsuwa.com/bukken_imgs/thumb/RLS34169-img1_sch.jpg)
入間市宮寺 [入間市駅] 4,569.00㎡ (1,382.12坪) 道路幅員約6m公道
1,100,000円
貸地
武蔵村山市中心部から約5.0km
![駒形富士山 JR八高線(八王子~高麗川)[箱根ケ崎駅]の貸地物件の詳細はこちら](https://www.tatsuwa.com/bukken_imgs/thumb/RLT35031-img1_sch.jpg)
西多摩郡瑞穂町駒形富士山 [箱根ケ崎駅] 681.39㎡ (206.12坪) 北西側道路幅員約5.5m公道
385,000円
貸地
武蔵村山市中心部から約5.0km
![駒形富士山 JR八高線(八王子~高麗川)[箱根ケ崎駅]の貸地物件の詳細はこちら](https://www.tatsuwa.com/bukken_imgs/thumb/RLT35030-img1_sch.jpg)
西多摩郡瑞穂町駒形富士山 [箱根ケ崎駅] 854.03㎡ (258.34坪) 北西側道路幅員約5.5m公道
473,000円
貸地
武蔵村山市中心部から約5.0km
![駒形富士山 JR八高線[箱根ヶ崎駅]の貸地物件の詳細はこちら](https://www.tatsuwa.com/bukken_imgs/thumb/RLT19782-img1_sch.jpg)
西多摩郡瑞穂町駒形富士山 [箱根ヶ崎駅] 480.00㎡ (145.19坪) 西・北側の2方道路
160,000円
貸地
武蔵村山市中心部から約5.2km
![清水 西武多摩湖線[武蔵大和駅]の貸地物件の詳細はこちら](https://www.tatsuwa.com/bukken_imgs/thumb/RLT29135-img1_sch.jpg)
東大和市清水 [武蔵大和駅] 538.00㎡ (162.74坪) 道路幅員約3.6m公道
220,000円
貸地
武蔵村山市中心部から約5.8km
![二本木 JR八高線[箱根ヶ崎駅]の貸地物件の詳細はこちら](https://www.tatsuwa.com/bukken_imgs/thumb/_sch.jpg)
入間市二本木 [箱根ヶ崎駅] 2,204.00㎡ (666.71坪) 大型車両出入可
880,000円
貸地
武蔵村山市中心部から約5.8km
![二本木 JR八高線(八王子~高麗川)[箱根ケ崎駅]の貸地物件の詳細はこちら](https://www.tatsuwa.com/bukken_imgs/thumb/RLS33651-img1_sch.jpg)
入間市二本木 [箱根ケ崎駅] 1,205.95㎡ (364.79坪) 南側道路幅員約6m公道
330,000円
貸地
武蔵村山市中心部から約5.8km
![二本木 JR八高線(八王子~高麗川)[金子駅]の貸地物件の詳細はこちら](https://www.tatsuwa.com/bukken_imgs/thumb/_sch.jpg)
入間市二本木 [金子駅] 4,499.00㎡ (1,360.94坪) 現況更地
750,000円
貸地
武蔵村山市中心部から約5.8km
![二本木 JR八高線(八王子~高麗川)[箱根ケ崎駅]の貸地物件の詳細はこちら](https://www.tatsuwa.com/bukken_imgs/thumb/_sch.jpg)
入間市二本木 [箱根ケ崎駅] 1,524.00㎡ (461.01坪) 現況更地
260,000円
貸地
武蔵村山市中心部から約6.0km
![二本木 JR八[箱根ヶ崎駅]の貸地物件の詳細はこちら](https://www.tatsuwa.com/bukken_imgs/thumb/RLT26086-img1_sch.jpg)
西多摩郡瑞穂町二本木 [箱根ヶ崎駅] 587.00㎡ (177.56坪) 準住居地域
250,000円
貸地
武蔵村山市中心部から約6.2km
![西狭山ケ丘 西武池袋線[狭山ヶ丘駅]の貸地物件の詳細はこちら](https://www.tatsuwa.com/bukken_imgs/thumb/RLS33473-img1_sch.jpg)
所沢市西狭山ケ丘 [狭山ヶ丘駅] 3,246.00㎡ (981.91坪) 南東側道路幅員約4m~4.51m公道
590,000円
貸地
武蔵村山市中心部から約6.3km
![荒幡 西武西武園線[西武園駅]の貸地物件の詳細はこちら](https://www.tatsuwa.com/bukken_imgs/thumb/RLS34130-img1_sch.jpg)
所沢市荒幡 [西武園駅] 266.00㎡ (80.46坪) 現況更地
300,000円
貸地
武蔵村山市中心部から約6.6km
![北野新町 西武池袋線[小手指駅]の貸地物件の詳細はこちら](https://www.tatsuwa.com/bukken_imgs/thumb/RLS34351-img1_sch.jpg)
所沢市北野新町 [小手指駅] 1,850.00㎡ (559.62坪) 道路幅員約4m公道
418,000円
貸地
武蔵村山市中心部から約6.8km
![狭山台 西武池袋線[仏子駅]の貸地物件の詳細はこちら](https://www.tatsuwa.com/bukken_imgs/thumb/RLS25065-img1_sch.jpg)
入間市狭山台 [仏子駅] 781.00㎡ (236.25坪) 西側道路幅員約9m公道
250,000円
貸地
武蔵村山市中心部から約7.2km
![小宮町 JR八高線(八王子~高麗川)[小宮駅]の貸地物件の詳細はこちら](https://www.tatsuwa.com/bukken_imgs/thumb/_sch.jpg)
八王子市小宮町 [小宮駅] 442.31㎡ (133.79坪) 現況更地
210,000円
貸地
武蔵村山市中心部から約7.3km
![草花 JR五日市線[秋川駅]の貸地物件の詳細はこちら](https://www.tatsuwa.com/bukken_imgs/thumb/RLT30427-img1_sch.jpg)
あきる野市草花 [秋川駅] 268.20㎡ (81.13坪) 北側道路幅員約4m公道
150,000円
貸地
武蔵村山市中心部から約8.0km
![新町 JR青梅線[小作駅]の貸地物件の詳細はこちら](https://www.tatsuwa.com/bukken_imgs/thumb/RLT32263-img1_sch.jpg)
青梅市新町 [小作駅] 946.72㎡ (286.38坪) 現況更地
450,000円
貸地
武蔵村山市中心部から約8.2km
![丹木町 JR中央本線(東京~塩尻)[八王子駅]の貸地物件の詳細はこちら](https://www.tatsuwa.com/bukken_imgs/thumb/RLT35169-img1_sch.jpg)
八王子市丹木町 [八王子駅] 224.39㎡ (67.87坪) 滝山街道沿い
100,000円
貸地
武蔵村山市中心部から約8.3km
![宇津木町 JR八高線(八王子~高麗川)[小宮駅]の貸地物件の詳細はこちら](https://www.tatsuwa.com/bukken_imgs/thumb/RLT34508-img1_sch.jpg)
八王子市宇津木町 [小宮駅] 317.00㎡ (95.89坪) 道路幅員約4.5m公道
200,000円
貸地
武蔵村山市中心部から約8.3km
![宇津木町 JR八高線(八王子~高麗川)[小宮駅]の貸地物件の詳細はこちら](https://www.tatsuwa.com/bukken_imgs/thumb/RLT34509-img1_sch.jpg)
八王子市宇津木町 [小宮駅] 336.00㎡ (101.64坪) 道路幅員約4.5m公道
200,000円
貸地
武蔵村山市中心部から約8.3km
![宇津木町 JR八高線(八王子~高麗川)[小宮駅]の貸地物件の詳細はこちら](https://www.tatsuwa.com/bukken_imgs/thumb/RLT34510-img1_sch.jpg)
八王子市宇津木町 [小宮駅] 758.00㎡ (229.29坪) 道路幅員約4.5m公道
400,000円
貸地
武蔵村山市中心部から約8.4km
![木蓮寺 JR八高線(八王子~高麗川)[金子駅]の貸地物件の詳細はこちら](https://www.tatsuwa.com/bukken_imgs/thumb/RLS33302-img1_sch.jpg)
入間市木蓮寺 [金子駅] 2,518.00㎡ (761.69坪) 青梅インターまで2.2km
350,000円
貸地
武蔵村山市中心部から約8.4km
![木蓮寺 JR八高線(八王子~高麗川)[金子駅]の貸地物件の詳細はこちら](https://www.tatsuwa.com/bukken_imgs/thumb/RLS34207-img1_sch.jpg)
入間市木蓮寺 [金子駅] 5,049.00㎡ (1,527.32坪) 北側道路幅員約3.6m公道 南東側道路幅員約3.6m公道
765,000円
武蔵村山市の貸地を貸す!貸したい方へ無料査定を実施中!
貸地の査定方法については、机上で行ない賃料などの賃貸条件が概算となる「簡易査定」から、物件調査をもとに算出し精度の高い「詳細査定」とフレキシブルに対応させて頂きます。
担当する営業スタッフへ査定方法などをお気軽にご相談ください。
お客様の状況にあわせて最適な方法を提案いたします。
仲介(管理)
最も一般的な賃貸方法です。
オーナー様と借主様の間で立和コーポレーションが媒介し、賃貸借取引をする方法です。
一般媒介からのご相談、非公開での営業活動も可能です。
サブリース
立和コーポレーションにて一括借り上げ
査定依頼のメールフォームはこちらです。
もちろんお電話でもお受けしております。
◆武蔵村山市の貸地の賃貸借取引に精通したスタッフが対応いたします。
◆強力な入居者募集体制があります。
各種広告媒体(At homeや紙媒体(チラシ)など)
自社独自システムを利用したホームページ
不動産業者間ネットワーク(レインズ)
◆保証会社を利用した家賃保証
◆高い入居率
◆滞納率0%
◆リフォーム提案
退去時の原状回復工事
リフォーム・リニューアル工事 など
◆その他のサポート
契約・更新業務
賃料等の集金業務
賃料等滞納時の回収業務
入居者との意見調整
退去時の賃料・敷金等の精算業務 など
武蔵村山市の貸地さがしのポイント
◆土地の前面道路だけでなく、土地に至る道路の幅員も確認しましょう。
また、標識等で交通法規も確認しておくと良いでしょう。
◆敷地前が歩道になっている場合は、土地への車両の進入に関わる為、歩道の切り下げ幅を確認しておくと良いでしょう。
◆土地の現況と引渡し条件(整地、舗装の有無)を比較し、引渡し前に工事が行われる場合は工期を確認しておきましょう。
土地の舗装について
◆砂利敷き…土の状態よりも水はけが良くなりますが、石を撥ねて車が傷つくこともあります。
長期間使用した場合は砂利を追加するケースも出てくる為、維持コストについては一概には言えません。
◆アスファルト…排水性・静音性に優れており、施工後数時間で使用可能になるのが大きな特徴です。
寿命が短い、熱を持つ点には注意が必要です。
◆コンクリート…アスファルトと比べると施工後数日の養生が必要な点、雨等に濡れると滑りやすくなる点では注意が必要ですが、非常に強固であることがメリットです。
他のエリアの貸地を探す
東京都
武蔵村山市の貸地に関するFAQ
- Q1武蔵村山市以外に貸地を取り扱っているエリアを知りたい。
- A1
武蔵村山市はもちろん、首都圏(東京都・神奈川県・埼玉県・千葉県)の貸地を取り扱っております。
- Q2ホームページに掲載されている物件以外に武蔵村山市周辺の貸地はあるのか?
- A2
ホームページに公開していない貸地も多数ございます。
オーナー様が公開をご希望されていない場合や、目安はあるものの募集条件が決定していない物件などはホームページに公開されません。
ホームページに公開される物件は、取扱物件全体のわずか一部となっております。
非公開となっている貸地については、担当営業スタッフより個別提案とさせていただいております。
武蔵村山市周辺の非公開物件の有無は、担当営業スタッフへお問い合わせください。 - Q3お問い合わせ時に、希望にマッチする貸地物件が無い場合は?
- A3
「武蔵村山市で大型車が駐車できる貸地をさがしているがなかなか無い。」
「早朝深夜の出入りがあるので、周辺に民家が無い貸地をさがしているが、希望するような物件が公開されてもすぐに決まってしまう。」
「武蔵村山市周辺限定でさがしている」
など...人気となる物件、人気エリアの物件をホームページでさがすのは本当に大変です。
お問い合わせをいただいた時点で、お客様のご要望にマッチする物件が無い場合でも、以後日々入手する物件情報から、お客様のご要望にマッチするものを見極め提案します!
「新着情報の随時検索・提案」です。立和コーポレーションの得意なところで、仲介営業のアピールポイントにしています。
オーナー様より直接の情報や、地元不動産会社様からの公開・非公開情報と、これまでの取引を通じたネットワークを大切にしています。
豊富で確かな貸地の物件情報から、お客様の使用目的やご予算、ご希望のエリアに沿って個別に提案させて頂いております。
まずは、お気軽にご要望をお聞かせください。
ホームページには貸地の公開物件について、新着情報や更新情報を自動配信する物件さがしのサポートツール「新着お知らせメール」もございます。
こちらも是非ご登録ください。 - Q4武蔵村山市では、貸地以外にどのような事業用不動産を取り扱っているか?
- A4
立和コーポレーションは、首都圏の事業用物件専門の不動産会社です。
貸地に限らず、賃貸・売買共に豊富なラインナップの物件種目の取り扱いを強みとしております。
「貸地が決まったら、その周辺で貸事務所をさがしたい。」
「賃貸・売買と両面でさがしたい。」
貸地については、1998年の創業時から主力で取扱っている物件種目です。
お客様のさまざまなご要望に対して、フレキシブルに対応いたします。 - Q5武蔵村山市の貸地を貸したい!査定依頼の方法は?
- A5
お電話やメールフォームからお気軽にお問い合わせください。
担当するスタッフと査定方法などをご相談ください。
武蔵村山市にある貸地について、専門的な知識や、さまざまな経験を基に、お客様の状況にあわせて最適な方法を提案します。
「簡易査定」「詳細査定」とありますが、フレキシブルな対応も可能です。
無料査定実施中です。
武蔵村山市の貸地についてのお知らせ・ニュース
「武蔵村山市の貸地」に関連する過去のブログ



![学園 多摩都市モノレール線[上北台駅]の貸地物件の詳細はこちら](/bukken_imgs/thumb/_big.jpg)
![伊奈平 西武拝島線[西武立川駅]の貸地物件の詳細はこちら](/bukken_imgs/thumb/RLT32341-img1_big.jpg)
![伊奈平 JR青梅線[昭島駅]の貸地物件の詳細はこちら](/bukken_imgs/thumb/RLT33388-img1_big.jpg)
![学園 多摩都市モノレール線[上北台駅]の貸地物件の詳細はこちら](/bukken_imgs/thumb/RLT34743-img1_big.jpg)
![本町 西武拝島線[武蔵砂川駅]の貸地物件の詳細はこちら](/bukken_imgs/thumb/RLT33809-img1_big.jpg)
![学園 西武拝島線[玉川上水駅]の貸地物件の詳細はこちら](/bukken_imgs/thumb/RLT34352-img1_big.jpg)
![伊奈平 西武拝島線[西武立川駅]の貸地物件の詳細はこちら](/bukken_imgs/thumb/RLT32340-img1_big.jpg)
![多摩都市モノレール線[上北台駅]の貸地物件の詳細はこちら](/bukken_imgs/thumb/_big_s.jpg)
![石川町 JR八高線(八王子~高麗川)[北八王子駅]の貸地物件の詳細はこちら](https://www.tatsuwa.com/bukken_imgs/thumb/RLT34234-img1_sch.jpg)
![南峯 JR八高線(八王子~高麗川)[金子駅]の貸地物件の詳細はこちら](https://www.tatsuwa.com/bukken_imgs/thumb/RLS33179-img1_sch.jpg)
![加住町 JR横浜線[八王子駅]の貸地物件の詳細はこちら](https://www.tatsuwa.com/bukken_imgs/thumb/RLT33901-img1_sch.jpg)
![加住町 JR横浜線[八王子駅]の貸地物件の詳細はこちら](https://www.tatsuwa.com/bukken_imgs/thumb/RLT34539-img1_sch.jpg)
![加住町 JR五日市線[東秋留駅]の貸地物件の詳細はこちら](https://www.tatsuwa.com/bukken_imgs/thumb/RLT32677-img1_sch.jpg)
![宮下町 JR五日市線[東秋留駅]の貸地物件の詳細はこちら](https://www.tatsuwa.com/bukken_imgs/thumb/RLT33763-img1_sch.jpg)
![大谷町 JR八高線(八王子~高麗川)[北八王子駅]の貸地物件の詳細はこちら](https://www.tatsuwa.com/bukken_imgs/thumb/RLT34002-img1_sch.jpg)
![坂ノ下 JR武蔵野線[東所沢駅]の貸地物件の詳細はこちら](https://www.tatsuwa.com/bukken_imgs/thumb/RLS29994-img1_sch.jpg)
![寺竹 JR八高線(八王子~高麗川)[金子駅]の貸地物件の詳細はこちら](https://www.tatsuwa.com/bukken_imgs/thumb/RLS34734-img1_sch.jpg)
![美園町 西武新宿線[小平駅]の貸地物件の詳細はこちら](https://www.tatsuwa.com/bukken_imgs/thumb/RLT29016-img1_sch.jpg)
![秋川 JR五日市線[秋川駅]の貸地物件の詳細はこちら](https://www.tatsuwa.com/bukken_imgs/thumb/RLT34941-img1_sch.jpg)
![多摩平 JR中央本線(東京~塩尻)[豊田駅]の貸地物件の詳細はこちら](https://www.tatsuwa.com/bukken_imgs/thumb/RLT32805-img1_sch.jpg)
![今井 JR青梅線[小作駅]の貸地物件の詳細はこちら](https://www.tatsuwa.com/bukken_imgs/thumb/RLT33984-img1_sch.jpg)
![今井 JR青梅線[小作駅]の貸地物件の詳細はこちら](https://www.tatsuwa.com/bukken_imgs/thumb/RLT33027-img1_sch.jpg)
![谷保 JR南武線[谷保駅]の貸地物件の詳細はこちら](https://www.tatsuwa.com/bukken_imgs/thumb/RLT33383-img1_sch.jpg)
![北岩岡 西武新宿線[新所沢駅]の貸地物件の詳細はこちら](https://www.tatsuwa.com/bukken_imgs/thumb/RLS34659-img1_sch.jpg)
![藤橋 JR青梅線[小作駅]の貸地物件の詳細はこちら](https://www.tatsuwa.com/bukken_imgs/thumb/RLT33327-img1_sch.jpg)
![大沼町 西武新宿線[小平駅]の貸地物件の詳細はこちら](https://www.tatsuwa.com/bukken_imgs/thumb/RLT34015-img1_sch.jpg)
![牛沼 西武池袋線[所沢駅]の貸地物件の詳細はこちら](https://www.tatsuwa.com/bukken_imgs/thumb/RLS32594-img1_sch.jpg)
![北原町 西武新宿線[航空公園駅]の貸地物件の詳細はこちら](https://www.tatsuwa.com/bukken_imgs/thumb/RLS33841-img1_sch.jpg)
![渕上 JR五日市線[武蔵引田駅]の貸地物件の詳細はこちら](https://www.tatsuwa.com/bukken_imgs/thumb/RLT32043-img1_sch.jpg)
![四谷 京王線[中河原駅]の貸地物件の詳細はこちら](https://www.tatsuwa.com/bukken_imgs/thumb/RLT23360-img1_sch.jpg)
![下安松 JR武蔵野線[東所沢駅]の貸地物件の詳細はこちら](https://www.tatsuwa.com/bukken_imgs/thumb/RLS32048-img1_sch.jpg)
![落合 西武池袋線[飯能駅]の貸地物件の詳細はこちら](https://www.tatsuwa.com/bukken_imgs/thumb/RLS33147-img1_sch.jpg)
![下富 西武新宿線[新所沢駅]の貸地物件の詳細はこちら](https://www.tatsuwa.com/bukken_imgs/thumb/RLS27107-img1_sch.jpg)
![下富 西武新宿線[新所沢駅]の貸地物件の詳細はこちら](https://www.tatsuwa.com/bukken_imgs/thumb/RLS30497-img1_sch.jpg)
![下富 西武新宿線[新所沢駅]の貸地物件の詳細はこちら](https://www.tatsuwa.com/bukken_imgs/thumb/RLS28084-img1_sch.jpg)
![根岸 西武池袋線[入間市駅]の貸地物件の詳細はこちら](https://www.tatsuwa.com/bukken_imgs/thumb/RLS34452-img1_sch.jpg)
![下富 西武新宿線[入曽駅]の貸地物件の詳細はこちら](https://www.tatsuwa.com/bukken_imgs/thumb/RLS34524-img1_sch.jpg)




